Haqqımızda
Reklam
Əlaqə
AZ
RU
RU
AKTUAL
İQTİSADİYYAT
TEXNOLOGİYA
MƏDƏNİYYƏT
SİYASƏT
DÜNYA
SOSİAL
HADİSƏ
PEŞƏ ETİKASI
DİGƏR
MARAQLI
TƏHLİL
İdman
DİASPOR
ƏDƏBİYYAT
MÜSAHİBƏ
SIĞORTA
MARAQLI
TƏHLİL
İdman
DİASPOR
ƏDƏBİYYAT
MÜSAHİBƏ
SIĞORTA
DÜNYA
Bədbəxt hadisə:
28 günlük körpə ehtiyatsızlıqdan öldü
0
0
39
anası
muğlanın
7news
suriyalı
körpə
bodrum
körpənin
rayonunda
sağlamlıq
qrupu
gələrək
təcili
görən
hərəkətsiz
olduğunu
öldüyünü
qonşuları
çağırıb
görə
tənəffüs
Rusiyada naməlum xəstəlik epidemiyası qeydə alınıb
0
0
19
naməlum
üzrə
nəzarət
federal
xidməti
epidemioloji
sanitar
rifahına
müdafiəsi
epidemioloqlar
göyərtəsində
rospotrebnadzor”
İstehlakçıların
stansiyanın
hüquqlarının
İnsan
tibbi
barədə
verməsi
məlumatı
İsrail aviasiyası HƏMAS-ın 250-dən çox mövqeyinə zərbələr endirib
0
0
16
İsrail
hƏmas
mülki
zərbələr
endirib
buraxılış
məntəqəsinə
məscid
hərbi
raket
bölgəsində
qüvvələri
uşaq
dəniz
yunis
bağçasının
etdiyini
istifadə
sübut
məlumatda
Türkiyənin Helsinki səfirliyinə hücum olub
0
0
96
7news
törədildiyindən
tərəfindən
hücumun
şübhələndiyini
nəfərlik
hücumla
saxlanılmadığını
açıqlayıb
kimin
hələlik
bağlı
polis
edilib
paytaxtı
finlandiyanın
verir
xəbər
helsinkidə
yerləşən
ABŞ-da silahlı hücum:
22 ÖLÜ
0
0
44
şübhəli
7news
yerdə
axtarılır
kamerası
təhlükəsizlik
sonra
yaralanıb
silahlı
hücumdan
görüntülərində
qaçan
palto
insanları
hədəfə
aldığı
görülüb
silahla
lüləli
insan
Almaniyada ixracatçıların bazara baxışı yaxşılaşıb
0
0
84
bənddən
7news
yenidən
işlənmiş
əvvəlki
punkta
yüksəlib
enişinə
qoyub
dalbadal
indeks
beləliklə
oktyabrda
indeksi
tədqiqatlar
İqtisadi
verir
xəbər
İnstitutunun
apardığı
İsrail ordusu ilk dəfə Qəzza zolağına daxil oldu
0
0
24
zolağının
həmçinin
İsrail
qəzza
şimalında
ərzində
məqsədyönlü
gecə
ordusu
keçirib
saxal
məlumatda
bildirilib
olunub
ərazini
tərk
ediblər”
məlumatda
saatları
infrastrukturuna
İngiltərədə avtomobil istehsalı ilin ən yüksək səviyyəsindədir
0
0
33
ədəd
istehsal
edilib
7news
üçün
bazar
daxili
artaraq
əvvəlki
edilən
ixracın
artdığını
göstərir
müqayisədə
ötən
avtomobillərin
ixrac
İstehsal
çatdı
İstehsalçıları
Rusiyanın sənaye istehsalı artdı
0
0
32
yüzdə
sənaye
7news
sentyabrda
artıb
avqustda
istehsalında
yüksəldi
sürəti
artım
illik
sürətli
avqusta
rosstatın
verir
xəbər
məlumatına
görə
istehsalı
rusiyanın
İngiltərə Qəzzada atəşkəs istəmədiyini açıqlayıb
0
0
32
britaniya
sualları
7news
cavablandırıb
lakin
deyirik
dəyişmir
əvvəldən
sözçü
hüququ
olduğunu
bildirən
mövzuda
mövqeyimiz
vətəndaşları
daxil
yardımların
olmasına
icazə
verilməlidir
Nikol Paşinyan Gürcüstana gedir
0
0
18
naziri
bildirilib
səfər
yayıb
məlumat
ermənistan
çərçivəsində
gürcüstanın
7news
görüşəcək
qaribaşvili
İrakli
barədə
səfərə
İpək
beynəlxalq
tbilisi
paşinyan
nikol
forumunda
Rusiyanın təbii qaz hasilatı artıb
0
0
41
müqayisədə
avqust
təbii
7news
hasilatı
sentyabr
həmçinin
rosstat
kubmetrə
düşüb
istehsalının
hasilatın
artdığını
açıqlayıb
milyon
artaraq
sentyabrda
illik
bazda
milyard
Nümayəndələr Palatasının yeni spikeri bəlli olub
0
0
90
sədri
nümayəndələr
palatasının
7news
parlamentdə
namizədi
saxlayan
respublikaçıların
əlində
dördüncü
səsvermədə
çoxluğu
luiziana
deputatı
hakeem
jeffries
toplayıb
demokrat
qalibi
olduğu
Çin və Kolumbiya arasında “strateji tərəfdaşlıq” quruldu
0
0
30
arasında
kolumbiya
7news
zamanı
bəyan
əlaqələr
görüş
qurulduğunu
strateji
tərəfdaşlıq”
əvvəl
açıqlayıblar
diplomatik
inkişaf
müsbət
tempini
qoruyub
saxlayır
çıxıb
sınağından
Ermənistanda Kanada səfirliyi açılıb
0
0
34
kanadanın
işlər
ermənistanda
xarici
naziri
törner
kanada
səfirliyi
əvvəl
ermənistan
ölkəsinin
konsulluğu
saxlayırdı
diplomatik
moskvadakı
vasitəsilə
ermənistanla
vətəndaşlarına
əlaqələr
xatırladaq
Aİ ölkələrinin liderləri Cənubi Qafqazdakı vəziyyəti müzakirə edəcəklər
0
0
31
avropa
müzakirə
Şurasının
İttifaqı
ukraynaya
vəziyyəti
edəcəklər
qafqazdakı
cənubi
səbəbindən
münaqişə
münasibətdə
yardım
arasındakı
ləğv
edilməyəcək
tutacaq
sürdüyü
hökm
vaxtda
Ermənistanın İstintaq Komitəsi Vitali Balasanyan barədə cinayət işi açıb
0
0
46
üzrə
qanunsuz
barədə
silah
balasanyan
cinayət
ermənistanın
abramyan
İstintaq
başqasına
vermə
satma
daşıma
saxlama
etmə
əldə
təhvil
verib
deyib
qarşı
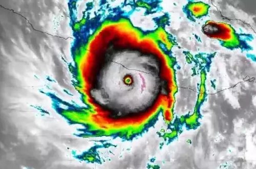
“Otis” qasırğası Meksikanı vurub
0
0
44
7news
açıqladı
başladığını
təsir
küləyin
etməyə
sürətinin
çatdığı
bildirilib
saatda
yerlərdə
bəzi
sahillərinə
meksikanın
meteorologiya
təşkilatı
Ümumdünya
verir
xəbər
qasırğasının
Qalatasaray-Bavariya matçını 51 min 792 adam izləyib
0
0
44
7news
tamaşaçı
toplayan
matç
parkda
izləyib
ümumilikdə
sarı
matçı
qırmızılı
komandalarına
dəstək
olublar
şüarları
ərzində
azarkeşlər
dəqiqə
stadionda
qırılıb
qrupunun
Çində büdcə kəsiri artır
0
0
44
istiqraz
7news
şəkildə
trilyon
yaxından
iqtisadiyyatı
bazarını
bilər
canlanmanı
gücləndirə
makro
izləyəcəklərini
həyata
keçirilməsini
təmin
edəcəklərini
problemsiz
buraxılışının
ifadə
edən
Avropadan gələn məlumatlar Brent neftini aşağı salıb
0
0
38
markalı
neftin
qiyməti
günü
7news
brent
dollara
gündən
atdığı
təsiri
addımların
tələbata
çərçivəsində
inflyasiya
avropa
mərkəzi
bankının
güclənərkən
mübarizə
fəaliyyəti
Serbiya Türkiyə ilə münasibətlərini yaxşılaşdırmaq istəyir
0
0
35
7news
dialoqun
siyasi
davam
etdirilməsi
bildirib
çalışacaqlarını
üçün
inkişafı
ikitərəfli
serbiya
verir
xəbər
prezidenti
aleksandr
türkiyə
vuçiç
əlaqələrin
Honq Konq sektorlar üçün dəstək planlarını elan edir
0
0
29
7news
maliyyə
beynəlxalq
mərkəzi
statusunu
açıqladı
tədbirləri
möhkəmləndirəcək
artıracaq
bazarlarını
veriir
xəbər
lideri
illik
çıxışında
siyasət
şəhərin
İsrail ordusu Suriyanın hava limanını bombalayıb
0
0
26
İsrail
yoxdur
İtki
fəaliyyəti
edək
dayandırılıb
oktyabrın
toqquşmalar
başlayıb
hərbi
arasında
hƏmas
aeroportun
nəticədə
şəhərindəki
hələb
suriyanın
ordusu
beynəlxalq
limanını
End of content
No more pages to load
İlk
852
853
854
855
856
Son