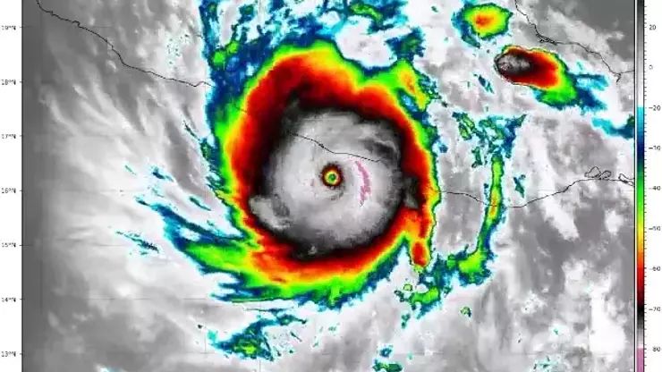
7NEWS.az xəbər verir ki, Ümumdünya Meteorologiya Təşkilatı (WMO) Otis qasırğasının '5-ci kateqoriya' gücünə çatdığını və bu gündən etibarən Meksikanın cənub sahillərinə təsir etməyə başladığını açıqladı. Küləyin sürətinin bəzi yerlərdə saatda 265 km-ə çatdığı bildirilib.
7NEWS.az








