Haqqımızda
Reklam
Əlaqə
AZ
RU
RU
AKTUAL
İQTİSADİYYAT
TEXNOLOGİYA
MƏDƏNİYYƏT
SİYASƏT
DÜNYA
SOSİAL
HADİSƏ
PEŞƏ ETİKASI
DİGƏR
MARAQLI
TƏHLİL
İdman
DİASPOR
ƏDƏBİYYAT
MÜSAHİBƏ
SIĞORTA
MARAQLI
TƏHLİL
İdman
DİASPOR
ƏDƏBİYYAT
MÜSAHİBƏ
SIĞORTA
ÖZƏL
Sabuhi Mubarizoglu Abbasov ABŞ-ın Polşadakı hərbi bazasının genişləndirilir
0
0
303
blaşçak
hərbi
bazasının
səfəri
zamanı
povidzdəki
7news
polşadakı
bildirib
tikiləcəyini
gücləndirəcək
cinahını
alyansının
bütün
şərq
səfiri
bjezinski
çəni
anbarların
anqarlar
Avropa İttifaqı Türkiyəyə qarşı məhdudlaşdırıcı tədbirləri 1 il müddətinə uzadıb
0
0
241
7news
məhdudlaşdırıcı
türkiyənin
dənizində
avropa
türkiyə
aralıq
noyabr
qədər
qərarının
uzadıldığı
edilən
vətəndaşı
üçün
qəbul
bildirilib
sanksiya
qarşı
maliyyələşdirmə
dondurulması
İranda havanın çirklənməsi səbəbindən 21 minə yaxın insan həyatını itirib
0
0
134
görə
problemlərinə
həyatını
7news
çirklənməsi
İranın
sağlamlıq
havanın
aparılan
şəhərində
bağlı
İqlim
sağlamlığı
nazirliyinin
İran
səhiyyə
dəyişikliyi
İdarəsinin
insanın
itirdiyini
İngiltərədə 70 min universitet işçisi tətil edəcək
0
0
124
7news
İngiltərədə
üçün
maaş
işçilərin
mindən
böhranının
öhdəsindən
bilməsi
yaşayış
gələ
artımı
həmkarlar
bildirilib
ittifaqının
tələbinin
məqbul
qeyri
müəyyən
artım
Nigeriyada vəba epidemiyasında ölənlərin sayı 382 nəfərə çatıb
0
0
150
vəba
səbəb
sonra
7news
bildirilib
içməli
yuyulan
yaranan
çirklənmiş
parazitləşməsi
İnsanların
yüksəldiyi
nazik
bağırsaqlarında
bakteriyasının
vibrio”
nəticəsində
vasitəsilə
daxil
orqanizmə
Afrika inkişaf etmiş ölkələrin Paris razılaşmasındakı vədlərinə əməl etmələrini istəyir
0
0
65
İqlim
cop27
7news
olduğunu
ifadə
qitənin
dünya
edən
lazım
mübarizə
üçün
ortaq
səyin
tropik
meşələrinin
dönüş
mübarizədə
nöqtəsi
olmasını
istəyib
Fransadakı Katolik Kilsəsinin kardinalı 35 il əvvəl uşaq istismarını etiraf edib
0
0
57
rikard
etdiyi
yaşlı
bildirib
əvvəl
qızla
istədiyini
7news
nəticələri
öhdəsinə
götürdüyü
qalıcı
olacağını
kardinal
istifadə
bütün
proqnozlaşdırdım
etmişdir
ifadələrdən
çəkildiyini
Rusiya 74 şirkət ilə hərbi-texniki əməkdaşlığı dayandırıb
0
0
55
texniki
qarşı
7news
hərbi
rusiya
əməkdaşlığa
tətbiq
sanksiya
bəzi
estoniyanın
Çexiya
litva
slovakiya
polşa
şirkətləri
monteneqro
açıqlamada
tədbir
ölkələrə
qəbul
Almaniyada 8 il qapalı qalan uşaq xilas edildi
0
0
43
babası
nənəsi
tərəfindən
anası
7news
almaniyada
qədər
xilas
yaşlı
qapalı
qalan
otaqda
indiyə
saxlanılıb
olarkən
saxlanılan
aylıq
ananın
gözlənilir
olunacağı
Rusiya və Çin birgə layihələrə 1,3 milyard dollar sərmayə qoymağa razılaşıblar
0
0
21
rusiya
investisiya
gəliblər
üzrə
təklif
7news
razılığa
İnkişaf
barədə
milyard
layihələrə
əməkdaşlığı
milyon
dollar
qoymaq
sərmayə
nianxiu
İslahatlar
Çinin
dövlət
Çinin neft idxalı son 5 ayın ən yüksək səviyyəsinə yüksəlib
0
0
45
milyon
ayında
yüksək
7news
idxalı
bəri
idxalçısı
böyük
oktyabr
olunmuş
verməklə
ixracını
üçün
artırmaq
məhsullarının
tonluq
bilən
çevrilə
hərəkətə
illik
Nepalda 6,6 bal gücündə zəlzələ baş verib:
6 ÖLÜ, 5 YARALI
0
0
18
nəfərin
bildirib
7news
uşaq
olmaqla
polis
göndərilib
dağılsa
əraziyə
xilasedicilər
həyatını
itirdiyini
silval
itkin
düşdüyünü
narayan
sözçüsü
yaralandığını
nepal
ordusunun
Bağdadda ABŞ vətəndaşı öldürülüb
0
0
38
troellin
7news
İnkişaf
agentliyinə
bağlı
yardım
beynəlxalq
vurulduğu
ölüm
aparıldığı
səbəbinin
silahla
təşkilatında
bildirilib
çalışdığı
olduğu
şəxslər
avtomobilə
atəş
açıblar
Yaponiya firmalarının 40 faizindən çoxu itki ilə üzləşib
0
0
21
görə
təsir
artması
üzləşib
7news
yapon
xərclərin
mənfəət
edən
maliyyə
yeninin
şirkətlərdən
dolları
qarşısında
ucuzlaşmasının
davam
xərclərinin
vəziyyətə
düşüb
xammal
Fransada parlamentin buraxılması müzakirə edilir
0
0
31
makronun
olduğunu
7news
milli
emmanuel
qanunvericilik
seçkisinin
qaçınılmaz
xəbərdə
ağıllara
başlığı
ləğv
qəzetində
əməliyyatına
hazırlaşır”
dərc
yerləşdirməyə
olunan
məsələ
deyə
Türkiyənin Xarici işlər naziri Ahıska türkləri ilə görüşüb
0
0
34
ahıska
türkiyənin
7news
qazaxıstanda
Çavuşoğlu
çəkdik
türklərinin
yanında
həsrət
qardaşlarımızla
vətəndaşlarımız
məskunlaşan
adamlarımız
ahıskalı
araya
gəldik
olmağa
birlikdə
dünyası
güclüdür”
“Üçrəngli bayrağımız bu gün Şuşada dalğalanır!” –
DEPUTAT
0
0
42
olsun
sədri
üçrəngli
bayrağımız
bizim
artıq
heydər
naxcıvan
Əliyevin
muxtar
bayraq
edildi
İndi
sayəsində
qəbul
Şuşada
baxıldı
qərar
birbaşa
dalğalanırdı
“Ermənistan öz üzərinə götürdüyü öhdəlikləri yerinə yetirməlidir.” –
PARTİYA SƏDRİ
0
0
47
sonra
yalnız
sədri
qəhrəmanlıq
qürur
bizim
müharibə
mərd
əsgərlərimiz
həmin
qəhrəman
oğullarımız
günlük
səlnaməmizdir
nəzarət
azərbaycan
ordusu
Çünki
olacaq
cavabı
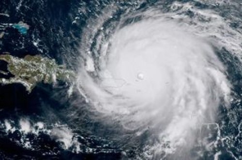
ABŞ-da seçkiqabağı fırtına xəbərdarlığı:
Fövqəladə vəziyyət elan EDİLDİ
0
0
127
sonra
olacağı
florida
fövqəladə
7news
təsirli
mümkün
qasırğanın
dərhal
seçkilərdən
noyabrın
vəziyyət
ölkə
keçiriləcək
əyalətdə
çevriləcəyini
çatacağını
floridaya
materikinə
güclü
Yeni Zelandiyada məscidə hücum edən şəxs ömürlük həbs cəzasına məhkum edilib
0
0
115
həbs
ömürlük
edərək
məhkum
cəzasına
7news
üçün
edilən
yaraladığı
tarrantın
müsəlmanı
qərara
öldürdüyü
nəfəri
etiraz
prosesin
məhkəmə
tarixini
təfərrüatlarını
açıqlamayıb
Just Stop Oil şirkətinin təsisçisi saxlanılıb
0
0
108
7news
trafikə
dünən
həyata
nöqtəsində
keçirilən
tədbirlərdə
lövhələrdən
london
fərqli
magistralının
endirilib
İngiltərənin
işlək
magistralını
bağladı
surrey
kentdə
çıxan
üzərinə
Avropada isti hava ən azı 15 min insanın ölümünə səbəb olub
0
0
66
kluge
dalğaları
həyatını
itirdiyini
səbəb
təxminən
7news
almaniyada
İngiltərədə
portuqaliyada
səbəbdən
olduğunu
bildirən
adamın
təsirli
gələcək
illərdə
ölümə
olacaq
istilər
Venesuelada təyyarə qəzası nəticəsində 5 zabit həlak olub
0
0
65
həyatını
zabitinin
başsağlığı
bolivar
lopez
bildirib
əsgərlərin
7news
twitter
davam
itkin
maduro
nikolas
prezident
axtarışlarının
etdiyini
hesabında
ailələrinə
kədərini
ailələrin
Dubayda 35 mərtəbəli binada yanğın baş verib
0
0
48
7news
yanğında
davam
yaxın
edən
nəticəsində
söndürülən
saata
müdaxilə
sayda
edilən
yanğınsöndürən
alova
insan
sövq
itkisinin
səbəbləri
yanğının
bağlı
rəsmi
End of content
No more pages to load
İlk
837
838
839
840
841
Son