RU
ABŞ-da seçkiqabağı fırtına xəbərdarlığı: Fövqəladə vəziyyət elan EDİLDİ
15:30
127

ABŞ-da seçkiqabağı fırtına xəbərdarlığı: Fövqəladə vəziyyət elan EDİLDİ


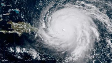
ABŞ-ın Florida ştatında ara seçkilərdən dərhal sonra yeni bir qasırğanın təsirli olacağı gözlənildiyi halda, mümkün daşqın və dağıntıları minimuma endirmək üçün tədbirlər çərçivəsində regional fövqəladə qərar qəbul edilib.

7NEWS.az xəbər verir ki, Florida qubernatoru Ron DeSantis, Mayamidə yerləşən Milli Qasırğa Mərkəzinin (NHC) Baham adalarından yaxınlaşan "Nicole" qasırğasının noyabrın 9-da Floridaya çatacağını və güclü qasırğaya çevriləcəyini bildirdikdən sonra 34 əyalətdə fövqəladə vəziyyət elan edib.
ABŞ-da noyabrın 8-də keçiriləcək ara seçkilərdən dərhal sonra ölkə materikinə çatacaq mümkün qasırğanın Mayami'nin şimalındakı Hallandale çimərliyindən və Atlantik okeanı üzərindən Daytona Beach'in şimalına qədər təsirli olacağı gözlənilir. 

7NEWS.az

BÖLMƏNİN DİGƏR XƏBƏRLƏRİ